Buitendijk 63

4273GD HANK

Beschikbaar

€ 475.000,- k.k.

Soort Bouwgrond

Kenmerken

Overdracht

Vraagprijs
€ 475.000 k.k.
Aangeboden sinds
9 oktober 2025
Status
Beschikbaar
Aanvaarding
In overleg

Overig

Soort
Bouwgrond

Oppervlakten en inhoud

Perceel
1068 m²

Buitenruimte

Ligging
Vrij uitzicht en landelijk gelegen
Tuin
Geen tuin

Garage

Soort garage
Geen garage

Omschrijving

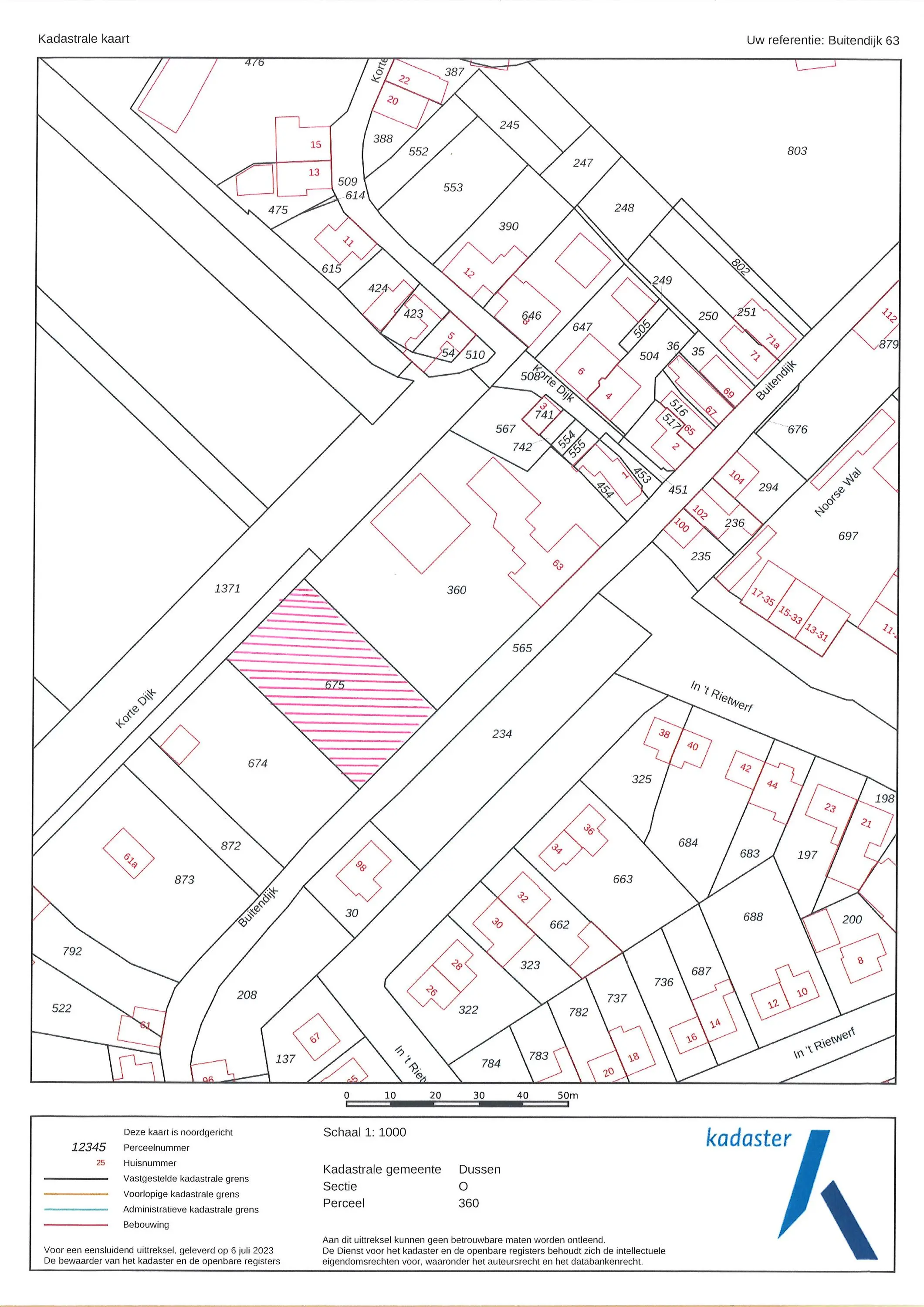
Buitendijk 63 ong. te Hank

BOUWKAVEL gelegen aan de Buitendijk (nabij nummer 63) te Hank, op een schitterende locatie aan de rand van de Biesbosch, maar ook op loopafstand van primaire voorzieningen.

Het perceel meet 1068 m² (ca. 25 x 42 meter).

Voor een impressie van de eventuele mogelijkheden, kunt u de brochure downloaden.

De bouwkavel is gelegen aan de rand van het dorp Hank en kijkt daarom kilometers ver weg over de weilanden.
Hank is een levendig dorp aan A27 tussen Gorinchem en Breda. Het heeft meerdere sportverenigingen, scholen en winkel.
Vanaf de woning is de supermarkt is te bereiken in 7 minuten fietsen. Dus ondanks dat de woning rustig buiten het dorp is gelegen zijn dagelijkse voorzieningen nog aardig in de buurt. De omgeving bestaat voornamelijk uit veel groen en water en ook nationaal park De Biesbosch is dichtbij.

Media

Locatie